
[한국Q뉴스] 남원시농업기술센터에서는 화상병, 돌발해충 등 병해충 방제를 위해 겨울 전정 시 철저한 소독 관리와 적기 약제 살포 하도록 지도하고 있다.
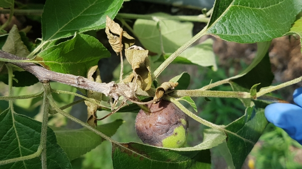
화상병은 세균병으로 사과·배 등 장미과 식물의 잎·꽃·가지·줄기·과일 등이 마치 불에 타서 화상을 입은 것과 같이 되어 조직이 검게 마르는 피해를 주며 고온에서 전파속도가 빠른 식물의 법정 전염병이다.
약제로 방제를 하기 위해서는 사과와 배 신초발아 전까지 약제 살포를 완료해야 하고 2차 약제는 전체 과수원의 80% 이상이 개화한 꽃 만개 이후 5일 전후에 방제시기를 준수해 살포해 피해 발생을 줄일 수 있도록 해야 한다.
또한 올해 겨울은 지속적인 한파와 이례적인 날씨변화로 예년에 비해 추운 겨울이었지만 입춘을 지나고 날씨가 따뜻해지면서 월동 병해충이 일찍 활동할 것으로 예상된다.
이에 따라 병해충을 미래 방제해 발생 밀도를 낮춰야 한다.
적용 약제로는 석회 유황합제, 보르도액 등이 있고 병해충 발생을 수시로 관찰해 적기에 방제해야 큰 효과를 볼 수 있다.
남원시 농업기술센터 관계자는 “화상병 및 월동병해충을 적기에 예방, 방제할 수 있도록 과수 농가를 대상으로 약제사용 시기 및 방법을 지속적으로 홍보하겠다”며 “센터에서도 과수 농가에 화상병 및 병해충 방제를 위한 약제를 지원해 최선을 다하겠다”고 말했다.
저작권자 © 한국Q뉴스 무단전재 및 재배포 금지

